Cassandra Cherneff / Coldwell Banker Oceanside Real Estate

1405 Fisher Rd, Commercial for sale Cobble Hill , BC , V8H 0H7

 MLS® # 1014467

0 bathrooms

Sign up to View

Days on Market

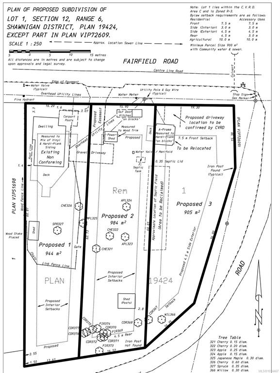
Small-to-medium scale development property in Cobble Hill village (fully serviced). Desirable location in the village center with preliminary approval for a 3-lot subdivision per current zoning (R3). Updated 2B/1B home to support financing and increase lot value post subdivision (can function as primary or secondary/rental – previously rented for $2,200/mo.). Additionally, parcel rezoning to “Compact Suburban” in CVRD’s new OCP, due for adoption this fall. CS zoning supports up to 8 lots (333m2 lots vs. 900...

Read More

Essential Information

  • MLS® #
    1014467
  • Year Built
    1957
  • Property Type
    Multi Family
  • MLS® #
    1014467
  • Year Built
    1957
  • Property Type
    Multi Family
  • MLS® #
    1014467
  • Year Built
    1957
  • Property Type
    Multi Family

Community Information

  • Postal Code
    V8H 0H7
  • Postal Code
    V8H 0H7
  • Postal Code
    V8H 0H7

Interior

  • Floor Finish
    Laminate
    Tile
    Vinyl
  • Heating
    Baseboard
  • Floor Finish
    Laminate, Tile, Vinyl
  • Heating
    Baseboard
  • Floor Finish
    Laminate
    Tile
    Vinyl
  • Heating
    Baseboard

Exterior

  • Construction
    Cement Fibre
    Frame Metal
    Vinyl Siding
  • Construction
    Cement Fibre, Frame Metal, Vinyl Siding
  • Construction
    Cement Fibre
    Frame Metal
    Vinyl Siding

Additional Details

  • Zoning
    R3
  • Sewer
    Septic System
    Sewer Available
  • Zoning
    R3
  • Sewer
    Septic System, Sewer Available
  • Zoning
    R3
  • Sewer
    Septic System
    Sewer Available

$1,075,000

1405 Fisher Rd

Schedule Tour
Contact Agent

$4896/month
Est. Monthly Payment
$
$
%
Learn More